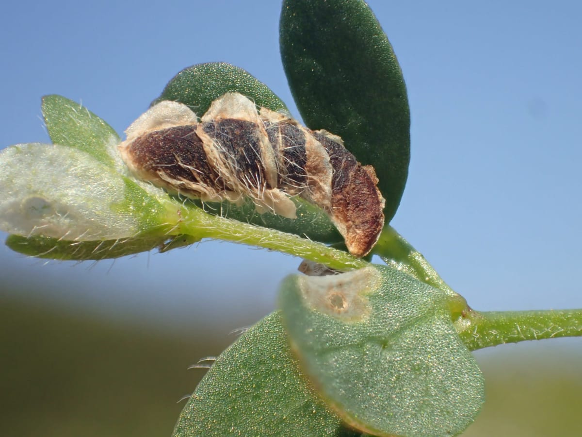
Coleophora discordella
B&F 547 RES 37.044
DistributionPhenologyReporting RatePhotos
Species account to be written soon...
Grade 2 — adults can be confused with other species, so good quality photographs or possibly a specimen will be required if the recorder is not familiar with the species.
Grade C1 — the case is generally distinctive, and unlikely to be confused with other species.
Distribution Map
The map below shows all records of Coleophora discordella (Lotus Case-bearer) in the Kent database. If you've got a dot to add, please submit your records to us. Use the control below to filter by time span:
Phenology
The graph below shows at which time of the year Coleophora discordella (Lotus Case-bearer) can be expected to be recorded in Kent. Use the controls below to filter by VC and time span:
Reporting Rate
The graph below shows how the number of records of Coleophora discordella (Lotus Case-bearer) submitted each year has changed over time. Use the control below to filter by VC:
Photo Gallery
Below is a selection of Coleophora discordella (Lotus Case-bearer) images from Kent. If you would like to contribute any photographs, please email mothsinkent@gmail.com. Click on a photo if you would like to see it larger.
External Links
For more information and images of Coleophora discordella (Lotus Case-bearer), please take can be seen on the external pages listed below:
