Phyllocnistis ramulicola
B&F 367a RES 15.091
New Sallow Bent-wing
DistributionPhenologyReporting RatePhotos
Species account to be written soon...
Grade 4 — adults require dissection to separate from other similar species.
Grade L — records of leafmines will require either the leaf or a good photograph.
Distribution Map
The map below shows all records of Phyllocnistis ramulicola (New Sallow Bent-wing) in the Kent database. If you've got a dot to add, please submit your records to us. Use the control below to filter by time span:
Phenology
The graph below shows at which time of the year Phyllocnistis ramulicola (New Sallow Bent-wing) can be expected to be recorded in Kent. Use the controls below to filter by VC and time span:
Reporting Rate
The graph below shows how the number of records of Phyllocnistis ramulicola (New Sallow Bent-wing) submitted each year has changed over time. Use the control below to filter by VC:
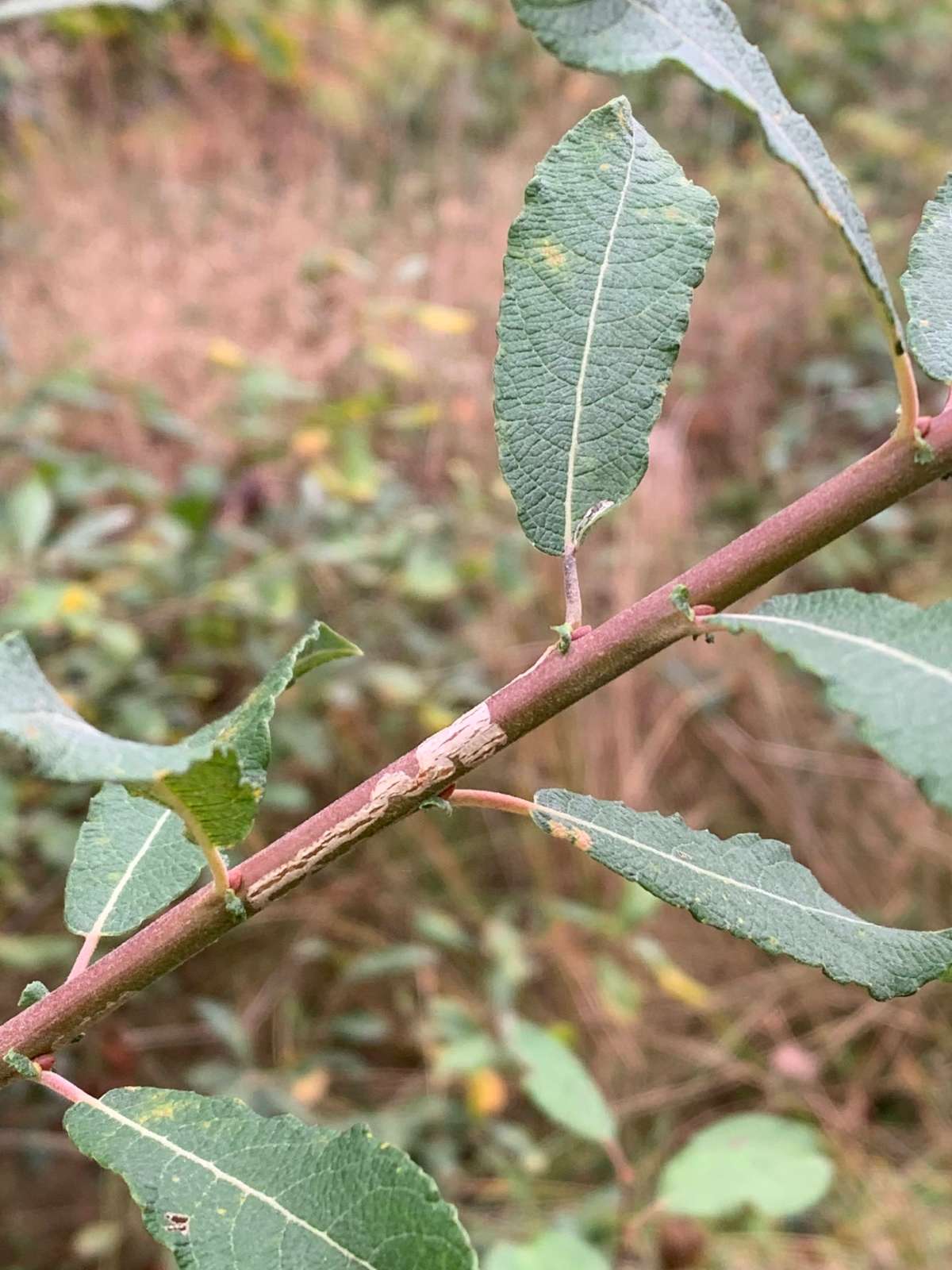
Photo Gallery
Below is a selection of Phyllocnistis ramulicola (New Sallow Bent-wing) images from Kent. If you would like to contribute any photographs, please email mothsinkent@gmail.com. Click on a photo if you would like to see it larger.
External Links
For more information and images of Phyllocnistis ramulicola (New Sallow Bent-wing), please take can be seen on the external pages listed below:
