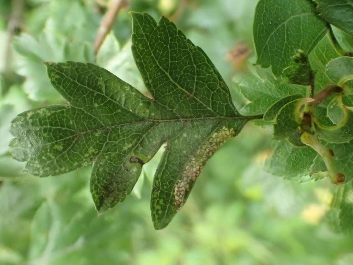
Phyllonorycter oxyacanthae
B&F 323 RES 15.043
Common Thorn Midget
DistributionPhenologyReporting RatePhotos
Species account to be written soon...
Hawthorn
Grade 4 — adults require dissection to separate from other similar species.
Grade A — records of leafmines can be accepted without the need to see the actual leaf or a good photo.
Distribution Map
The map below shows all records of Phyllonorycter oxyacanthae (Common Thorn Midget) in the Kent database. If you've got a dot to add, please submit your records to us. Use the control below to filter by time span:
Phenology
The graph below shows at which time of the year Phyllonorycter oxyacanthae (Common Thorn Midget) can be expected to be recorded in Kent. Use the controls below to filter by VC and time span:
Reporting Rate
The graph below shows how the number of records of Phyllonorycter oxyacanthae (Common Thorn Midget) submitted each year has changed over time. Use the control below to filter by VC:
Photo Gallery
Below is a selection of Phyllonorycter oxyacanthae (Common Thorn Midget) images from Kent. If you would like to contribute any photographs, please email mothsinkent@gmail.com. Click on a photo if you would like to see it larger.
External Links
For more information and images of Phyllonorycter oxyacanthae (Common Thorn Midget), please take can be seen on the external pages listed below:
